年關將近,舊的一年即將結束,新的一年也即
將開始,嘉興動物醫院在此祝大家『新年快樂』,
也願各位在新的一年有更好的發展。
週日就是除夕了,相信有很多人會在過年的時
候,回家陪陪父母,或者是出去玩,家中有飼養狗
貓的家長,有一部分的人會選擇寵物旅館寄宿,也
有一部分的人會帶回家一起過年,甚至帶出去玩。
除夕夜的傳統,大家會一起圍爐吃火鍋,家中
的長輩或小朋友,為了寵愛狗狗,常常餵食我們吃
的東西,又或者狗狗常常撿食掉落在地上的食物,
但是這些行為,都會讓狗狗暴露在危險當中!
大家應該都知道,『巧克力、葡萄、洋蔥』,
是最常見的三種狗狗禁止食用的食物,但是除了這
些之外,還是有很多食物隱藏著危機。
他並不是直接造成狗貓中毒死亡,而是會破壞
或阻塞消化道,引起狗狗劇烈嘔吐、脫水、電解質
失衡,甚至引起死亡!
常見的消化道異物
玉米梗、桃子、荔枝、龍眼與酸梅的種子,都
是常見的消化道異物,狗貓的消化道是無法消化這
些硬質食物,當隨著蠕動進入小腸時,即會造成消
化道部份阻塞或完全阻塞。
當消化道發生部份阻塞時,少許的液體與氣體
還是可以經過消化道,動物臨床症狀較不明顯,但
如果是完全阻塞,則動物會出現急性的臨床症狀,
如劇烈的嘔吐、厭食、精神沈鬱,而阻塞的腸道端
會出現急性腫脹,循環不良,壞死,導致動物死亡。
魚鉤、針、鐵釘、雞骨頭等尖銳的異物,可能
會刺穿消化道,使消化道內的細菌與食物進入體腔,
造成感染,引起腹膜炎、敗血症,甚至死亡。
線狀異物,則會因消化道的蠕動,在腸道內拉
緊,切割腸道,造成比尖銳異物更嚴重的傷害,整
段消化道被切割,造成腸道出血,壞死。
魚鉤與線,線狀異物會切割腸道,魚鉤會刺穿消化道,造成感染(嘉興動物醫院)
巧拼版,通常貓咪會用來磨爪子,有時後會不小心食入,造成阻塞(嘉興動物醫院)
診斷
當狗貓出現急性嘔吐、厭食、精神沈鬱,平常
又有亂咬東西的習慣,或者有餵食除了飼料以外的
食物之行為時,就不能排除異物阻塞的可能性。
診斷異物的方法,消化道x光檢查是必須的,
x光檢查分為一般攝影與照影劑攝影,石頭、鐵釘、
針,等...這些密度較高的物品,在一般x光攝影就
可以診斷出來,但是如果是線、水果籽如:龍眼、
桃子、酸梅等...、塑膠密度較小的物品,就無法在
一般x光攝影下被檢查出。

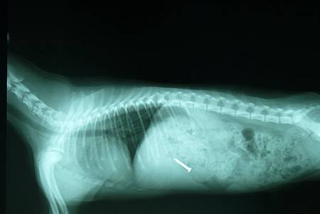
動物吞食了鐵釘與耳環的x光片(嘉興動物醫院)
這時就需要進行消化道照影,消化道照影是給
動物食入一種可以在x光下顯影的液體,藉由連續
時間的拍攝,觀察液體在消化道流動的狀況,如果
有異物阻塞,照影劑就會停留在某段消化道,不會
繼續往前移動,如果是部份阻塞,則照影劑在阻塞
的部位會緩慢通過,且會產生異常的影像。
一般攝影下,無法顯影的異物,經過照影,照影劑無法通過(嘉興動物醫院)
除了x光檢查外,還必須配合理學檢查、血液
學檢查,確認身體狀況,並排除其他可能引起嘔吐
的疾病。
治療
治療消化道異物,最常用的方式就是外科手術,
取出引起阻塞的異物。如果已經引起消化道壞死潰
瘍,甚至需要進行截腸手術。
線狀異物,腸道拉緊,呈手風琴狀(嘉興動物醫院)
桃子籽異物,造成消化道完全阻塞(嘉興動物醫院)
電線固定器,其中有鐵釘與塑膠物質,在x光下只能顯現鐵釘的影像(嘉興動物醫院)
術後需要持續的給予輸液,並且監控離子平衡,
給予抗生素預防腹膜炎的發生,並且給予止痛藥控
制疼痛。
食入異物的狗貓,通常會再一次的食入異物,
如要避免此狀況一再發生,飼主平時的照顧就非常
重要,家中的物品收好,教育家中其他成員避免亂
餵食物,使我們的伴侶動物能健康的生活一輩子。
